Die Gemeinde Itzgrund möchte die Bürgerinnen und Bürger möglichst umfassend über das Bau- und Planungsrecht informieren. Die Darstellung der aktuell im Verfahren befindlichen und öffentlich ausliegenden Bauleitpläne im Internet ist eine zusätzliche Informationsquelle und stellt ein Serviceangebot der Gemeindeverwaltung dar. Bitte beachten Sie auch die in der gedruckten Form des Amtsblatts der Gemeinde Itzgrund veröffentlichten Informationen und Hinweise, sowie die im Bürgerbüro zur Einsichtnahme offengelegten entsprechenden Entwürfe, Erläuterungsberichte, Begründungen und sonstigen Unterlagen! Diese können Sie dort zu den vorgesehenen Öffnungszeiten jederzeit persönlich einsehen.
Zur Beachtung der datenschutzrechtlichen Informationspflichten nach Art. 13 Abs. 1 und Abs. 3 die DSGVO veröffentlicht die Gemeinde nachfolgendes Musterblatt.
Datenschutzrechtliche Informationspflichten im Bauleitplanverfahren nach Art. 13 und 14 DSVGO
Bekanntmachung der Gemeinde Itzgrund
Aufstellung des vorhabenbezogenen Bebauungsplanes mit
Vorhaben- und Erschließungsplan „Agrovoltaikanlage an der Heg“
und 7. Änderung des Flächennutzungsplans: Ausweisung
Sondergebiet „Agrovoltaikanlage an der Heg“ im Parallelverfahren
Der Gemeinderat Itzgrund hat in seiner öffentlichen Sitzung am 25.02.2026 die Aufstellung des vorhabenbezogenen Bebauungsplanes „Agrovoltaikanlage an der Heg“ und die 7. Änderung des Flächennutzungsplans zur Ausweisung des Sondergebietes „Agrovoltaikanlage an der Heg“ im Parallelverfahren beschlossen, um die planungsrechtlichen Voraussetzungen für die Errichtung einer sogenannte Agrovoltaikanlage zu schaffen.
Ziel und Zweck ist die Ausweisung eines Sondergebietes für Agrovoltaik und die Gewinnung von Strom aus Erneuerbaren Energien - im speziellen aus Sonne - und dadurch Verringerung der CO² Emissionen, bei paralleler Fortführung der landwirtschaftlichen Nutzung. Damit wird den im LEP (Landesentwicklungsprogramm) formulierten Zielen zum Ausbau und der Förderung von regenerativen Energien nachgekommen, ohne der Landwirtschaft weiter Flächen zu entziehen.
Das geplante Gebiet des vorhabenbezogenen Bebauungsplanes „Agrovoltaikanlage an der Heg“ umfasst einen Geltungsbereich von ca. 3,8 ha der Flurnummern 923 und 927, Gemarkung Schottenstein.
Dieser Aufstellungs- und Änderungsbeschluss wird hiermit gem. § 2 Abs. 1 BauGB öffentlich bekanntgemacht.
Bürgerbeteiligung
Nach § 3 Abs. 1 BauGB hat die Gemeinde Itzgrund die allgemeinen Ziele und Zwecke der Planung öffentlich darzulegen. Dabei sollen die voraussichtlichen Auswirkungen der Planungen aufgezeigt werden. Die frühzeitige Beteiligung erfolgt hierzu in öffentlicher Darlegung und öffentlicher Auslegung in der Zeit vom
30.03.2026 bis einschließlich 01.05.2026
im Rathaus Itzgrund, Rathausstraße 4, 96274 Itzgrund.
Die Darlegungsunterlagen (Planentwurf und Begründung des Bebauungsplans, Planentwurf und Begründung der Flächennutzungsplan-Änderung sowie Umweltbericht) können dort während der üblichen Dienststunden eingesehen werden. Während dieser Frist wird Auskunft über Planungsinhalt und Planungsziel erteilt (Darlegung). Die Unterlagen können auch auf der Internetseite der Gemeinde unter https://www.itzgrund.de/ und www.bauleitplanung.bayern.de eingesehen werden.
Die Auslegung erfolgt mit dem Hinweis, dass jedermann Bedenken und Anregungen zu dem Planentwurf schriftlich oder zur Niederschrift vorbringen kann. Nicht fristgerecht abgegebene Bedenken und Anregungen können bei der Beschlussfassung über die Bauleitplanung unberücksichtigt bleiben.
Über die vorgebrachten Äußerungen befindet der Gemeinderat. Es wird darauf hingewiesen, dass verspätet abgegebene Stellungnahmen bei der Beschlussfassung unberücksichtigt bleiben können. Führt die Bürgerbeteiligung zu einer Änderung der Planung, so findet keine erneute Anhörung statt. Dem Bürger wird jedoch noch Gelegenheit gegeben, weitere Anregungen und Bedenken bei der öffentlichen Auslegung des geänderten Plan-Entwurfs gem. § 3 Abs. 2 BauGB vorzubringen.
Itzgrund, den 11.03.2026
Nina Liebermann
Bürgermeisterin
Vorentwurf der 7. Flächennutzungsplanänderung
Vorentwurf der Begründung zur 7. Flächennutzungsplanänderung
Vorentwurf des vorhabenbezogenen Bebauungsplanes
Vorentwurf der Begründung zum vorhabensbezogenen Bebauungsplan
Bekanntmachung der Gemeinde Itzgrund
Öffentliche Auslegung des Entwurfes der 6. Flächennutzungsplanänderung Bereich Sondergebiet „Wohnen und Arbeiten mit Tieren“ in Büdenhof und des Entwurfs zum vorhabenbezogenen Bebauungsplan Sondergebiet „Wohnen und Arbeiten mit Tieren“ nach § 3 Abs. 2 Baugesetzbuch (BauGB)
Beteiligung der Öffentlichkeit
vom 13.01.2025 bis einschließlich 14.02.2025
Am 16.10.2024 hat der Gemeinderat Itzgrund beschlossen, den Entwurf der 6. Änderung des Flächennutzungsplans Itzgrund im Bereich des vorhabenbezogenen Bebauungsplans Sondergebiet „Wohnen und Arbeiten mit Tieren“ in Büdenhof und den Entwurf des vorhabenbezogenen Bebauungsplans Sondergebiet „Wohnen und Arbeiten mit Tieren“ zusammen mit seiner Begründung einschließlich Umweltbericht öffentlich auszulegen (§ 3 Abs. 2 BauGB).
Die Abgrenzung des räumlichen Geltungsbereichs sowie die räumliche Lage sind aus dem Lageplan sowie aus den Plänen in der Fassung vom 16.10.2024 zu ersehen.
Der Inhalt dieser Bekanntmachung und die nach § 3 Abs. 2 S.1 BauGB auszulegenden Unterlagen (Entwurf der 6. Änderung des Flächennutzungsplans und der Entwurf des vorhabenbezogenen Bebauungsplans Sondergebiet „Wohnen und Arbeiten mit Tieren“ mit den Begründungen einschließlich Umweltbericht) werden im Internet unter https://geoportal.bayern.de/bauleitplanungsportal/ bzw. http://www.itzgrund.de/aktuelles/aktuelle-bauleitplanung.html in der Zeit vom:
13.01.2025 bis einschließlich 14.02.2025 veröffentlicht.
Zusätzlich liegen die Unterlagen in Papier bei der Gemeinde Itzgrund, Rathausstraße 4, 96274 Itzgrund, Erdgeschoss, Bürgerbüro, während der allgemeinen Öffnungszeiten (Montag 8.00 Uhr bis 15.00 Uhr, Dienstag, Mittwoch, Freitag 8.00 Uhr bis 12.00 Uhr, Donnerstag 8.00 Uhr bis 12.00 Uhr und 14.00 bis 18.00 Uhr) öffentlich aus.
Während dieser Frist sollen Stellungnahmen elektronisch übermittelt werden, bei Bedarf jedoch können diese auch schriftlich übermittelt oder zur Niederschrift abgegeben werden. Nicht fristgerecht abgegebene Stellungnahmen können gem. § 4a Abs. 6 BauGB bei der Beschlussfassung unberücksichtigt bleiben. Nicht fristgerecht abgegebene Stellungnahmen können bei der Beschlussfassung über die 6. Änderung des Flächennutzungsplans / über den vorhabenbezogenen Bebauungsplan Sondergebiet „Wohnen und Arbeiten mit Tieren“ unberücksichtigt bleiben, wenn die Gemeinde Itzgrund den Inhalt nicht kannte und nicht hätte kennen müssen und deren Inhalt für die Rechtmäßigkeit der Flächennutzungsplanänderung / des vorhabenbezogenen Bebauungsplans Sondergebiet „Wohnen und Arbeiten mit Tieren“ nicht von Bedeutung ist.
Folgende umweltrelevanten Informationen sind verfügbar:
Schreiben des Landratsamtes Coburg, Fachbereich Wasserrecht vom 10.11.2023
- Wasserversorgung und Abwasserbeseitigung
Stellungnahme des Landratsamtes Coburg, Fachbereich Immissionsschutz vom 10.11.2023
- Hinweise zu Immissionen
Stellungnahme des Landratsamtes Coburg, Untere Bodenschutzbehörde vom 10.11.2023
- Hinweise zum Bodenschutz
Anlage zum Billigungs- und Auslegungsbeschluss des Gemeinderates vom 16.10.2024, einschließlich beschlussmäßiger Prüfung und Würdigung (frühzeitige Beteiligung gemäß §§ 3 Abs. 1 und 4 Abs. 1 BauGB)
- Abschnitt Würdigung und Abwägung zu den Anregungen des Landratsamtes Coburg, Untere Bodenschutzbehörde vom 10.11.2023
Die diesen Informationen zugrunde liegenden Unterlagen stehen ebenfalls im Internet zur Verfügung und liegen zudem öffentlich aus.
Datenschutz:
Die Verarbeitung personenbezogener Daten erfolgt auf der Grundlage der Art. 6 Abs. 1 Buchstabe e (DSGVO) i.V. mit § 3 BauGB und dem BayDSG. Sofern Sie Ihre Stellungnahme ohne Absenderangaben abgeben, erhalten Sie keine Mitteilung über das Ergebnis der Prüfung. Weitere Informationen entnehmen Sie bitte dem Formblatt „Datenschutzrechtliche Informationspflichten im Bauleitverfahren“ das ebenfalls im Internet veröffentlicht ist bzw. öffentlich ausliegt.
Hinweis zur 6. Änderung des Flächennutzungsplans bzgl. des Verbandsklagerechts von Umweltverbänden:
Eine Vereinigung im Sinne des § 4 Abs. 3 S. 1 Nr. 2 Umwelt-Rechtsbehelfsgesetzes (UmwRG) ist in einem Rechtsbehelfsverfahren nach §7 abs. 2 UmwRG gemäß §7 Abs. 3 S. 1 UmwRG mit allen Einwendungen ausgeschlossen, die sie im Rahmen der Auslegungsfrist nicht oder nicht rechtzeitig geltend gemacht hat, aber hätte geltend machen können (§ 3 Abs. 3 BauGB)
Itzgrund, den 10.01.2025
Nina Liebermann
1. Bürgermeisterin
Vorhabenbezogener B-Plan Büdenhof - Entwurf
Vorhabenbezogener B-Plan Büdenhof - Vorhaben- u. Erschließungsplan - Entwurf
Planausschnitt Änderung FNP im Bereich B-Plan Büdenhof - Entwurf
Begründung B-Plan Büdenhof - Entwurf
Begründung Änderung FNP im Bereich B-Plan Büdenhof - Entwurf
Datenschutzrechtliche Informationsplichten im Bauleitplanverfahren
+ Dateien Umweltrelevante Informationen
Bekanntmachung der Gemeinde Itzgrund
Öffentliche Auslegung des Entwurfes der 6. Flächennutzungsplanänderung Bereich Sondergebiet „Wohnen und Arbeiten mit Tieren“ in Büdenhof und des Entwurfs zum vorhabensbezogenen Bebauungsplan Sondergebiet „Wohnen und Arbeiten mit Tieren“ nach § 3 Abs. 2 Baugesetzbuch (BauGB)
Beteiligung der Öffentlichkeit
vom 04.11.2024 bis einschließlich 06.12.2024
Am 16.10.2024 hat der Gemeinderat Itzgrund beschlossen, den Entwurf der 6. Änderung des Flächennutzungsplans Itzgrund im Bereich des vorhabensbezogenen Bebauungsplans Sondergebiet „Wohnen und Arbeiten mit Tieren“ in Büdenhof und den Entwurf des vorhabensbezogenen Bebauungsplans Sondergebiet „Wohnen und Arbeiten mit Tieren“ zusammen mit seiner Begründung einschließlich Umweltbericht öffentlich auszulegen (§ 3 Abs. 2 BauGB).
Die Abgrenzung des räumlichen Geltungsbereichs sowie die räumliche Lage sind aus dem abgedruckten Lageplan sowie aus dem am Auslegungsort offen liegenden Plänen in der Fassung vom 16.10.2024 zu ersehen.
Der Entwurf der 6. Änderung des Flächennutzungsplans und der Entwurf des vorhabensbezogenen Bebauungsplans Sondergebiet „Wohnen und Arbeiten mit Tieren“ liegen mit den Begründungen einschließlich Umweltbericht in der Zeit vom:
04.11.2024 bis einschließlich 06.12.2024
bei der Gemeinde Itzgrund, Rathausstraße 4, 96274 Itzgrund, Erdgeschoss, Bürgerbüro, während der allgemeinen Öffnungszeiten (Montag 8.00 Uhr bis 15.00 Uhr, Dienstag, Mittwoch, Freitag 8.00 Uhr bis 12.00 Uhr, Donnerstag 8.00 Uhr bis 12.00 Uhr und 14.00 bis 18.00 Uhr) öffentlich aus.
Der Inhalt dieser Bekanntmachung und die nach § 3 Abs. 2 S.1 BauGB auszulegenden Unterlagen sind auch im Internet unter
http://www.itzgrund.de/aktuelles/aktuelle-bauleitplanung.html
eingestellt.
Während dieser Frist können Stellungnahmen schriftlich oder zur Niederschrift abgegeben werden. Nicht fristgerecht abgegebene Stellungnahmen können gem. § 4a Abs. 6 BauGB bei der Beschlussfassung unberücksichtigt bleiben. Nicht fristgerecht abgegebene Stellungnahmen können bei der Beschlussfassung über die 6. Änderung des Flächennutzungsplans / über den vorhabensbezogenen Bebauungsplan Sondergebiet „Wohnen und Arbeiten mit Tieren“ unberücksichtigt bleiben, wenn die Gemeinde Itzgrund den Inhalt nicht kannte und nicht hätte kennen müssen und deren Inhalt für die Rechtmäßigkeit der Flächennutzungsplanänderung / des vorhabensbezogenen Bebauungsplans Sondergebiet „Wohnen und Arbeiten mit Tieren“ nicht von Bedeutung ist.
Folgende umweltrelevanten Informationen sind verfügbar:
Schreiben des Landratsamtes Coburg, Fachbereich Wasserrecht vom 10.11.2023
- Wasserversorgung und Abwasserbeseitigung
Stellungnahme des Landratsamtes Coburg, Fachbereich Immissionsschutz vom 10.11.2023
- Hinweise zu Immissionen
Stellungnahme des Landratsamtes Coburg, Untere Bodenschutzbehörde vom 10.11.2023
- Hinweise zum Bodenschutz
Anlage zum Billigungs- und Auslegungsbeschluss des Gemeinderates vom 16.10.2024, einschließlich beschlussmäßiger Prüfung und Würdigung (frühzeitige Beteiligung gemäß §§ 3 Abs. 1 und 4 Abs. 1 BauGB)
- Abschnitt Würdigung und Abwägung zu den Anregungen des Landratsamtes Coburg, Untere Bodenschutzbehörde vom 10.11.2023
Die diesen Informationen zugrunde liegenden Unterlagen liegen ebenfalls aus.
Datenschutz:
Die Verarbeitung personenbezogener Daten erfolgt auf der Grundlage der Art. 6 Abs. 1 Buchstabe e (DSGVO) i.V. mit § 3 BauGB und dem BayDSG. Sofern Sie Ihre Stellungnahme ohne Absenderangaben abgeben, erhalten Sie keine Mitteilung über das Ergebnis der Prüfung. Weitere Informationen entnehmen Sie bitte dem Formblatt „Datenschutzrechtliche Informationspflichten im Bauleitverfahren“ das ebenfalls öffentlich ausliegt.
Hinweis zur 6. Änderung des Flächennutzungsplans bzgl. des Verbansklagerechts von Umweltverbänden:
Eine Vereinigung im Sinne des § 4 Abs. 3 S. 1 Nr. 2 Umwelt-Rechtsbehelfsgesetzes (UmwRG) ist in einem Rechtsbehelfsverfahren nach §7 abs. 2 UmwRG gemäß §7 Abs. 3 S. 1 UmwRG mit allen Einwendungen ausgeschlossen, die sie im Rahmen der Auslegungsfrist nicht oder nicht rechtzeitig geltend gemacht hat, aber hätte geltend machen können (§ 3 Abs. 3 BauGB)
Itzgrund, den 25. Oktober 2024
Nina Liebermann, 1. Bürgermeisterin
Vorhabensbezogener B-Plan Büdenhof - Entwurf
Vorhabensbezogener B-Plan Büdenhof - Vorhaben- u. Erschließungsplan - Entwurf
Planausschnitt vorhabensbezogener B-Plan Büdenhof - Entwurf
Begründung B-Plan Büdenhof - Entwurf
Begründung Änderung FNP im Bereich B-Plan Büdenhof - Entwurf
Datenschutzrechtliche Informationspflichten im Bauleitplanverfahren
Bekanntmachung
des Aufstellungsbeschlusses für den vorhabenbezogenen Bebauungsplan
„Büdenhof" gem. § 2 Abs. 1 Satz 2 BauGB
Teil A: Aufstellungsbeschluss
Der Gemeinderat der Gemeinde Itzgrund hat am 13.09.2023 den Aufstellungsbeschluss für die Aufstellung des vorhabenbezogenen Bebauungsplans „Büdenhof" im Bereich Büdenhof beschlossen.
Geltungsbereich:
Für den in der Vorplanung dargestellten Bereich von Büdenhof wird nach § 12 BauGB i. V. m. §2 Abs. 1 BauGB ein vorhabenbezogener Bebauungsplan aufgestellt.
Das geplante Gebiet des vorhabenbezogenen Bebauungsplanes „Büdenhof" umfasst die Flurnummern 411/1 und 421/1 der Gemarkung Welsberg und somit einen Geltungsbereich von ca. 2,49 ha.
Ziel der Planung ist die vorhandenen landwirtschaftlichen Gebäude zur Nutzung als Wohnhaus mit Mietswohnungen, Tagungsräume zum Abhalten von Workshops, Pferdekoppeln mit Offenstallnutzung und Tiny Häusern weiterhin nutzbar zu machen.
Initiatorin des Vorhabens ist die Grundstückseigentümerin des betreffenden Anwesens, welche ebenfalls die Kosten des Verfahrens trägt. Fachlich begleitet wird diese dabei von der Kittner & Weber Ingenieurbüro GmbH.
Der Aufstellungsbeschluss ist öffentlich bekannt zu machen.
Teil B: Frühzeitige Beteiligung der Öffentlichkeit Gern. §3 Abs. 1 BauGB wird eine
Frühzeitige Beteiligung der Öffentlichkeit
an dieser Bauleitplanung ermöglicht. Die frühzeitige Beteiligung der Öffentlichkeit findet im Rahmen einer Auslegung statt. Die Bauleitplanung kann im Zeitraum vom
06.10.2023 bis einschließlich 10.11.2023
im Rathaus der Gemeinde ltzgrund
(Rathausstraße 4, Ortsteil Kaltenbrunn, 96274 Itzgrund, Bürgerbüro im Erdgeschoss)
zu den regulären Geschäftszeiten (Montag 8:00 Uhr bis 15:00 Uhr, Dienstag, Mittwoch und Freitag 8:00 Uhr bis 12:00 Uhr, Donnerstag 8:00 Uhr bis 12:00 Uhr und 14:00 Uhr bis 18:00 Uhr)
eingesehen werden.
In dieser Zeit können Bedenken und Anregungen geäußert werden. Es wird darauf hingewiesen, dass nicht während der Beteiligungsfrist abgegebene Stellungnahmen bei der Beschlussfassung unberücksichtigt bleiben können.
ltzgrund, den 28. September 2023
Nina Liebermann 1. Bürgermeisterin
Begründung zur Aufstellung des vorhabenbezogenen Bebauungsplanes - Vorentwurf
6. Änderung d. Flächennutzungsplanes - Vorentwurf
Begründung 6. Änderung d. Flächennutzungsplanes - Vorentwurf
Datenschutzrechtliche Informationspflichten im Bauleitplanverfahren
BEKANNTMACHUNG DER GEMEINDE ITZGRUND
Öffentliche Auslegung des Entwurfs der 5. Flächennutzungsplanänderung, Bereich „Agrovoltaikanlage am Feldhut“ und des Entwurfs zum vorhabenbezogenen Bebauungsplan „Agrovoltaikanlage am Feldhut“ (Parallelverfahren) nach § 3 Abs. 2 Baugesetzbuch (BauGB)
Beteiligung
der Öffentlichkeit
vom 22.08.2022 bis einschließlich 23.09.2022
Am 25.05.2022 hat der Gemeinderat Itzgrund beschlossen, den Entwurf der 5. Änderung des Flächennutzungsplans Itzgrund im Bereich des vorhabenbezogenen Bebauungsplans „Agrovoltaikanlage am Feldhut“ und den Entwurf des vorhabenbezogenen Bebauungsplanes „Agrovoltaikanlage am Feldhut“ zusammen mit seiner Begründung einschließlich Umweltbericht öffentlich auszulegen (§ 3 Abs. 2 BauGB).
Die Abgrenzung des räumlichen Geltungsbereiches sowie die räumliche Lage sind aus dem abgedruckten Lageplan sowie aus den am Auslegungsort offen liegenden Plänen in der Fassung vom 12.04.2022 zu ersehen.
Der Entwurf der 5. Änderung des Flächennutzungsplans und der Entwurf des vorhabenbezogenen Bebauungsplans „Agrovoltaikanlage am Feldhut“ liegen mit den Begründungen einschließlich Umweltbericht in der Zeit vom:
22.08.2022 bis einschließlich 23.09.2022
bei der Gemeinde Itzgrund, Rathausstraße 4, 96274 Itzgrund, Erdgeschoss, Bürgerbüro, während der allgemeinen Öffnungszeiten (Montag und Dienstag 8.00 Uhr bis 15.00 Uhr, Donnerstag 8.00 bis 18.00 Uhr und Mittwoch und Freitag von 8.00 bis 12.00 Uhr) öffentlich aus.
Während dieser Frist können Stellungnahmen schriftlich oder zur Niederschrift abgegeben werden. Nicht fristgerecht abgegebene Stellungnahmen können gem. § 4a Abs. 6 BauGB bei der Beschlussfassung unberücksichtigt bleiben.
Nicht fristgerecht abgegebene Stellungnahmen können bei der Beschlussfassung über die 5. Änderung des Flächennutzungsplans/ über den vorhabenbezogenen Bebauungsplan „Agrovoltaikanlage am Feldhut“ unberücksichtigt bleiben, wenn die Gemeinde den Inhalt nicht kannte und nicht hätte kennen müssen und deren Inhalt für die Rechtmäßigkeit der Flächennutzungsplanänderung/ des vorhabenbezogenen Bebauungsplans „Agrovoltaikanlage am Feldhut“ nicht von Bedeutung ist.
Folgende umweltrelevanten Informationen sind verfügbar:
- Schreiben des Landratsamtes Coburg, Fachbereich Wasserrecht vom 15.03.2022
- -Ausnahmegenehmigung für das Bauleitplanverfahren im Wasserschutzgebiet
- Stellungnahme des Landratsamtes Coburg, Fachbereich Immissionsschutz vom 24.09.2021
- -Hinweise zu Immissionen
- Stellungnahme des Landratsamtes Coburg, Fachbereich Naturschutz vom 24.09.2021
- -Hinweise zum Ausgleichsbedarf
- Anlage zum Billigungs- und Auslegungsbeschluss des Gemeinderates vom 25.05.2022, einschließlich beschlussmäßiger Prüfung und Würdigung (frühzeitige Beteiligung gemäß §§ 3 Abs. 1 und 4 Abs. 1 BauGB)
- -Abschnitt Würdigung und Abwägung zu den Anregungen des Landratsamtes Coburg, Fachbereich Naturschutz vom 24.09.2021
- Die diesen Informationen zugrunde liegenden Unterlagen liegen ebenfalls aus.
Datenschutz:
Die Verarbeitung personenbezogener Daten erfolgt auf der Grundlage der Art. 6 Abs. 1 Buchstabe e (DSGVO) i. V. mit § 3 BauGB und dem BayDSG. Sofern Sie Ihre Stellungnahme ohne Absenderangaben abgeben, erhalten Sie keine Mitteilung über das Ergebnis der Prüfung. Weitere Informationen entnehmen Sie bitte dem Formblatt „Datenschutzrechtliche Informationspflichten im Bauleitplanverfahren“ das ebenfalls öffentlich ausliegt.
Hinweis zur 5. Änderung des Flächennutzungsplans bzgl. des Verbandsklagerechts von Umweltverbänden:
Eine Vereinigung im Sinne des § 4 Abs. 3 S. 1 Nr. 2 UmwRG (Umwelt-Rechtsbehelfsgesetzes) ist in einem Rechtsbehelfsverfahren nach § 7 Abs. 2 UmwRG gemäß § 7 Abs. 3 S. 1 UmwRG mit allen Einwendungen ausgeschlossen, die sie im Rahmen der Auslegungsfrist nicht oder nicht rechtzeitig geltend gemacht hat, aber hätte geltend machen können (§ 3 Abs. 3 BauGB).
Itzgrund, den 03.08.2022
Nina Liebermann
1. Bürgermeisterin
Entwurf der 5. Flächennutzungsplanänderung
Entwurf der Begründung zur 5. Flächennutzungsplanänderung
Entwurf der Begründung zum vorhabenbezogenen Bebauungsplan
Umweltbericht
Blendgutachten
Grabungsbericht
Billigungs- und Auslegungsbeschluss des Gemeinderates vom 25.05.2022, einschl. beschlussmäßige Prüfung und Würdigung (frühzeitige Beteiligung gemäß §§ 3 Abs. 1 und 4 Abs. 1 BauGB)
Schreiben des Landratsamtes Coburg, Fachbereich Wasserrecht vom 15.03.2022 Ausnahmegenehmigung für das Bauleitplanverfahren im Wasserschutzgebiet
Stellungnahme des Landratsamtes Coburg, Fachbereich Immissionsschutz vom 24.09.2021 Hinweise zur Immissionen
Stellungnahme des Landratsamtes Coburg, Fachbereich Naturschutz vom 24.09.2021Hinweise zum Ausgleichsbedarf
Anlage zum Billigungs- uns Auslegungsbeschluss des Gemeinderates vom 25.05.2022, einschl. beschlussmäßiger Prüfung und Würdigung (frühzeitige Beteiligung gemäß §§ 3 Abs. 1 und 4 Abs. 1 BauGB)Würdigung und Abwägung zu den Anregungen des Landratsamtes Coburg, Fachbereich Naturschutz
Datenschutzanlage
Borhabenbezogener Bebauungsplan "Agrovoltaikanlage am Feldhut"
Öffentliche Auslegung des Entwurfs zum Bebauungsplan „Am Weinberg“, Ortsteil Gleußen nach § 3 Abs. 2 Baugesetzbuch (BauGB)
Beteiligung
der Öffentlichkeit
Am 25.05.2022 hat der Gemeinderat Itzgrund den Entwurf des Bebauungsplanes „Am Weinberg“, Ortsteil Gleußen gebilligt.
Die Abgrenzung des räumlichen Geltungsbereiches sowie die räumliche Lage sind aus dem abgedruckten Lageplan sowie aus den am Auslegungsort offen liegenden Plänen in der Fassung vom 02.02.2022 zu ersehen.
Der Entwurf des Bebauungsplanes „Am Weinberg“, Ortsteil Gleußen liegt mit der Begründung in der Zeit vom:
27.06.2022 bis einschließlich 16.08.2022
bei der Gemeinde Itzgrund, Rathausstraße 4, 96274 Itzgrund, Erdgeschoss, Bürgerbüro, während der allgemeinen Öffnungszeiten (Montag und Dienstag 8.00 Uhr bis 15.00 Uhr, Donnerstag 8.00 bis 18.00 Uhr und Mittwoch und Freitag von 8.00 bis 12.00 Uhr) öffentlich aus.
Stellungnahmen können während dieser Frist in Textform oder während der Dienststunden zur Niederschrift abgegeben werden.
Nicht fristgerecht abgegebene Stellungnahmen können bei der Beschlussfassung über den Bebauungsplan „Am Weinberg“, Ortsteil Gleußen unberücksichtigt bleiben, wenn die Gemeinde den Inhalt nicht kannte und nicht hätte kennen müssen und deren Inhalt für die Rechtmäßigkeit des Bebauungsplans „Am Weinberg“, Ortsteil Gleußen nicht von Bedeutung ist.
Folgende umweltrelevanten Informationen sind verfügbar:
Umweltbericht gemäß § 2a BauGB zu diesem Bebauungsplan (unter Buchstabe A, Begründung, Ziffer 2 des Bebauungsplanentwurfes von 02.02.2022).
Datenschutz:
Die Verarbeitung personenbezogener Daten erfolgt auf der Grundlage der Art. 6 Abs. 1 Buchstabe e (DSGVO) i. V. mit § 3 BauGB und dem BayDSG. Sofern Sie Ihre Stellungnahme ohne Absenderangaben abgeben, erhalten Sie keine Mitteilung über das Ergebnis der Prüfung. Weitere Informationen entnehmen Sie bitte dem Formblatt „Datenschutzrechtliche Informationspflichten im Bauleitplanverfahren“ das ebenfalls öffentlich ausliegt.
Itzgrund, den 17.06.2022
Nina Liebermann
1.Bürgermeisterin
&rex_img_file=pasted_09.06.2022_7.49am_1.png)
Bauleitplanung der Gemeinde Itzgrund, Landkreis Coburg
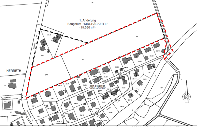
1. Änderung des Bebauungsplans „Kirchäcker II“
Beteiligung der Öffentlichkeit durch Offenlegung nach § 3 Abs. 2 BauGB
Der Gemeinderat der Gemeinde Itzgrund hat am 27.04.2022 in öffentlicher Sitzung die Änderung des Bebauungsplans „Kirchäcker II“ beschlossen.
Geltungsbereich
Der Geltungsbereich des Bebauungsplans Kirchäcker II liegt in Herreth. Der genaue Planbereich ergibt sich aus dem nachfolgend abgedruckten Kartenausschnitt.

Ziele und Zweck der Planung
Die Verkehrsflächen wurden zur bestmöglichen Ausnutzung der vorhandenen Flächen nochmals überarbeitet, wodurch eine Anpassung der einzelnen Baugrundstücke erforderlich wurde. Darüber hinaus erfolgt eine Anpassung von nicht mehr zeitgemäßen einschränkenden Festsetzungen, z. B. hinsichtlich der Stellung der baulichen Anlagen sowie der Baugestaltung und einer ökologisch sinnvollen Regenwassernutzung.
Im Übrigen gelten weiterhin die bestehenden Festsetzungen des rechtskräftigen Bebauungsplans. Die Planung hat keine wesentlichen Einflüsse auf bestehende oder beabsichtigte andere Planungen.
Da es sich lediglich um eine Änderung des bereits bestehenden rechtkräftigen Bebauungsplans handelt, wird vom Umweltbericht, von der Angabe welche Arten umweltbezogener Informationen verfügbar sind und von der zusammenfassenden Erklärung abgesehen.
Beteiligung der Öffentlichkeit durch Offenlegung gem. § 3 Abs. 2 BauGB
Der Gemeinderat Itzgrund hat in seiner Sitzung am 27.04.2022 die öffentliche Auslegung nach § 3 Abs. 2 BauGB sowie die gleichzeitige Beteiligung und Anhörung der Träger öffentlicher Belange, deren Aufgabenbereich durch die Planung berührt werden kann, gem. § 4 Abs. 2 BauGB beschlossen.
Der vom Gemeinderat gebilligte Entwurf des Bebauungsplans und die Begründung liegen
von Montag, den 16.05.2022 bis einschließlich Mittwoch, den 15.06.2022
im Rathaus der Gemeinde Itzgrund, Rathausstraße 4, 96274 Itzgrund, Bürgerbüro im Erdgeschoss während der Öffnungszeiten (montags und dienstags jeweils von 8:00 Uhr bis 15:00 Uhr, mittwochs und freitags von 8:00 Uhr bis 12:00 Uhr, donnerstags von 8:00 Uhr bis 18:00 Uhr) öffentlich aus. Dabei wird Gelegenheit zur Äußerung und Erörterung der Planung gegeben.
Während der Auslegungsfrist können Stellungnahmen (schriftlich oder mündlich zur Niederschrift) bei der Gemeindeverwaltung vorgebracht werden. Da das Ergebnis der Behandlung der Anregungen mitgeteilt wird, ist die Angabe der Anschrift des Verfassers zweckmäßig, auf den Datenschutz wird hingewiesen. Weitere ausführliche Datenschutzinformationen können bei der Gemeinde angefordert oder eingesehen werden. Nicht fristgerecht abgegebene Stellungnahmen können gem. § 4a Abs. 6 BauGB bei der Beschlussfassung über die 1. Änderung des Bebauungsplans Kirchäcker II unberücksichtigt bleiben, sofern die Gemeinde deren Inhalt nicht kannte und nicht hätte kennen müssen und deren Inhalt für die Rechtmäßigkeit des Bauleitplans nicht von Bedeutung ist.
Der Inhalt der ortsüblichen Bekanntmachung nach § 3 Abs. 2 BauGB und die auszulegenden Unterlagen werden zusätzlich im Internet unter nachfolgendem Link www.itzgrund.de/aktuelles/aktuelle-bauleitplanung.html bereit gestellt.
Itzgrund, 28.04.2022
Nina Liebermann
1. Bürgermeisterin
Öffentliche Bekanntmachung
Änderung des Bebauungsplans „Kirchäcker II“
und frühzeitige Öffentlichkeitsbeteiligung nach § 3 Abs. 1 BauGB
Der Gemeinderat der Gemeinde Itzgrund hat am 16.03.2022 in öffentlicher Sitzung gem. § 2 Abs. 1 BauGB die Änderung des Bebauungsplans „Kirchäcker II“ beschlossen.
Geltungsbereich
Der Lageplan mit Kennzeichnung der Abgrenzung des räumlichen Geltungsbereichs des Bebauungsplans ist Bestandteil des Beschlusses. Der Planbereich ergibt sich aus dem nachfolgenden Kartenausschnitt.
Ziele und Zweck der Planung
Die Verkehrsflächen wurden zur bestmöglichen Ausnutzung der vorhandenen Flächen nochmals überarbeitet, wodurch eine Anpassung der einzelnen Baugrundstücke erforderlich wurde. Darüber hinaus erfolgt eine Anpassung von nicht mehr zeitgemäßen einschränkenden Festsetzungen, z. B. hinsichtlich der Stellung der baulichen Anlagen sowie der Baugestaltung und einer ökologisch sinnvollen Regenwassernutzung.
Im Übrigen gelten weiterhin die bestehenden Festsetzungen des rechtskräftigen Bebauungsplans. Die Planung hat keine wesentlichen Einflüsse auf bestehende oder beabsichtigte andere Planungen.
Frühzeitige Öffentlichkeitsbeteiligung gem. § 3 Abs. 1 BauGB
Die Vorentwürfe zur Änderung des Bebauungsplans in der Planfassung vom 16.03.2022 werden
von Freitag, den 25.03.2022 bis einschließlich. Freitag, den 22.04.2022
im Rathaus der Gemeinde Itzgrund, Rathausstraße 4, 96274 Itzgrund, Bürgerbüro im Erdgeschoss während der Öffnungszeiten (montags und dienstags jeweils von 8:00 Uhr bis 15:00 Uhr, mittwochs und freitags von 8:00 Uhr bis 12:00 Uhr, donnerstags von 8:00 Uhr bis 18:00 Uhr) öffentlich ausgelegt. Dabei wird Gelegenheit zur Äußerung und Erörterung der Planung gegeben.
Bitte beachten Sie dabei die aktuell gültigen Zutrittsregeln für die Gemeindeverwaltung.
Während der Auslegungsfrist können Stellungnahmen (schriftlich oder mündlich zur Niederschrift) bei der Gemeindeverwaltung vorgebracht werden. Da das Ergebnis der Behandlung der Anregungen mitgeteilt wird, ist die Angabe der Anschrift des Verfassers zweckmäßig.
Itzgrund, 17.03.2022
Nina Liebermann
1. Bürgermeisterin


Datenschutzrechtliche Informationspflichten im Bauleitverfahren
Änderungsentwurf Kirchäcker II
Vorentwurf 1. Änderung BP Kirchäcker II
Öffentliche Bekanntmachung
Aufhebung des Bebauungsplans „Am Weinberg“
und frühzeitige Öffentlichkeitsbeteiligung nach § 3 Abs. 1 BauGB
Der Gemeinderat der Gemeinde Itzgrund hat am 02.02.2022 in öffentlicher Sitzung die Aufhebung des Bebauungsplans „Am Weinberg“ beschlossen.
Der Planbereich ergibt sich aus dem nachfolgenden Kartenausschnitt.
Ziele und Zweck der Planung
Mit der Aufhebung des Bebauungsplans soll für das gesamte Plangebiet die Nutzungsmöglichkeit als reines Wohngebiet an die tatsächlichen Gegebenheiten angepasst werden.
Durch die Aufhebung des Bebauungsplans sollen künftig Neu-, Um-, An- oder Ausbaumaßnahmen grundsätzlich flexibler realisiert werden können. Darüber hinaus soll dann in allen Bereichen des vormaligen Bebauungsplanes eine Nachverdichtung ermöglicht werden, wenn sich das Vorhaben nach Art und Maß der baulichen Nutzung, der Bauweise und der Grundstücksfläche, die überbaut wird, in die Eigenart der näheren Umgebung einfügt.
Frühzeitige Öffentlichkeitsbeteiligung gem. § 3 Abs. 1 BauGB
Die Vorentwürfe zur Aufhebung des Bebauungsplans in der Planfassung vom 02.02.2022, werden mit der Begründung und Umweltbericht
von Montag, den 07.03.2022 bis einschl. Freitag, den 08.04.2022
im Rathaus der Gemeinde Itzgrund, Rathausstraße 4, OT Kaltenbrunn, 96274 Itzgrund, Bürgerbüro im Erdgeschoss während der Öffnungszeiten (montags und dienstags jeweils von 8.00 Uhr bis 15.00 Uhr, mittwochs und freitags von 8.00 Uhr bis 12.00 Uhr, donnerstags von 8.00 Uhr bis 18.00 Uhr) öffentlich ausgelegt. Dabei wird Gelegenheit zur Äußerung und Erörterung der Planung gegeben.
Bitte beachten Sie dabei die aktuell gültigen Zutrittsregeln für die Gemeindeverwaltung (Corona).
Während der Auslegungsfrist können Stellungnahmen (schriftlich oder mündlich zur Niederschrift) bei der Gemeindeverwaltung vorgebracht werden.
Da das Ergebnis der Behandlung der Anregungen mitgeteilt wird, ist die Angabe der Anschrift des Verfassers zweckmäßig.
Itzgrund, den 25.02.2022
Nina Liebermann
1. Bürgermeisterin
Amtliche Bekanntmachung 5. Änderung des Flächennutzungsplanes der Gemeinde Itzgrund; Aufstellung des vorhabenbezogenen Bebauungsplanes „Agrovoltaikanlage am Feldhut“; Aufstellungs- und Billigungsbeschluss des Vorentwurfes, sowie frühzeitige Beteiligung der Öffentlichkeit und Behörden und sonstiger Träger öffentlicher Belange Der Gemeinderat hat in seiner Sitzung am 28. Juli 2021 den nachstehenden Beschluss gefasst. Der Gemeinderat der Gemeinde Itzgrund beschließt die
und billigt
Der Gemeinderat beschließt weiterhin, die frühzeitige Beteiligung der Öffentlichkeit nach § 3 Abs. 1 BauGB im Rathaus durchzuführen. Während der Auslegung gibt es Gelegenheit zur Äußerung und zur Erörterung der Planung. Gleichzeitig werden die Behörden und sonstigen Träger öffentlicher Belange nach § 4 Abs. 1 BauGB frühzeitig an der 5. Änderung des Flächennutzungsplanes und Aufstellung des Bebauungsplanes beteiligt. Der Inhalt der ortsüblichen Bekanntmachung nach § 3 Abs. 1 BauGB und die auszulegenden Unterlagen werden gemäß § 4a Abs. 4 BauGB zusätzlich in das Internet eingestellt (www.itzgrund.de/aktuelles/aktuelle-bauleitplanung.html) und über ein zentrales Internetportal des Landes zugänglich gemacht (www.bauleitplanung.bayern.de). Die Stellungnahmen der Behörden und sonstigen Träger öffentlicher Belange werden durch Mitteilung von Ort und Dauer der frühzeitigen Beteiligung der Öffentlichkeit nach § 3 Abs. 1 BauGB und der Internetadresse, unter der der Inhalt eingesehen werden kann, eingeholt. Die Mitteilung wird schriftlich per Post übermittelt. Auf Verlangen werden der Behörde oder einem sonstigen Träger öffentlicher Belange der Vorentwurf des Bauleitplanes und die Begründung mit Umweltbericht in Papierform übermittelt. Gleichzeitig ist mit dem Vorhabenträger ein städtebaulicher Vertrag zu schließen. Bekanntmachung des Aufstellungsbeschlusses Vorentwurf der 5. Flächennutzungsplanänderung Verentwurf der Begründung zur 5. Flächennutzungsplanänderung Vorentwurf des vorhabenbezogenen Bebauungsplanes Vorentwurf der Begründung zum vorhabensbezogenen Bebauungsplan |
